GRIFFIN - Land Subdivision

 
 

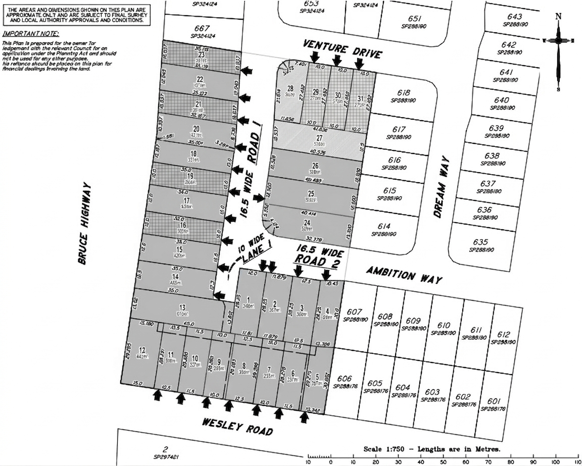
Griffin Land Subdivision at Wesley Rd is a planned residential land development in the suburb of Griffin, Queensland, located north of Brisbane and close to the North Lakes growth area. The project involves the reconfiguration of land into 31 residential lots, with associated new roads and parkland to support future housing opportunities. The subdivision reflects broader residential growth in the region, offering a variety of lot sizes and layouts that respond to community needs and planning objectives. With good access to transport links, local services and emerging neighbourhood facilities, the project is positioned to contribute to the ongoing development and urban character of Griffin.

 
Previous
Previous

ANN STREET - Coolum Beach